Ameisenkolonien: Erfolg durch genetische Diversität



Bio-News vom 28.09.2021

Ameisenkolonien mit größerer genetischer Diversität sind erfolgreicher als Kolonien, die aus Individuen gleicher Abstammung bestehen. Zu diesem Ergebnis kommt eine experimentelle Studie, bei der verschiedene Kolonien der Schwarzen Wegameise miteinander verglichen wurden.

"Wir vermuten, dass eine größere Diversität zu einer besseren Arbeitsteilung unter den Ameisenarbeiterinnen führt und in der Folge die Leistung der Kolonie insgesamt zunimmt", erklärt der Leiter der Studie, Dr. Romain Libbrecht von der Johannes Gutenberg-Universität Mainz (JGU). Ameisenkolonien, in denen sich die einzelnen Ameisen stärker voneinander unterscheiden, ziehen mehr Larven groß als Kolonien aus enger verwandten Tieren. Die Forschungsergebnisse könnten erklären, weshalb die Evolution im Reich der Insektenstaaten einige besondere Phänomene hervorgebracht hat wie Königinnen, die mehrfach begattet werden, oder Kolonien, die aus mehreren Königinnen bestehen. Beides ist nicht nur bei Ameisen, sondern bei vielen Arten von staatenbildenden Insekten zu finden.


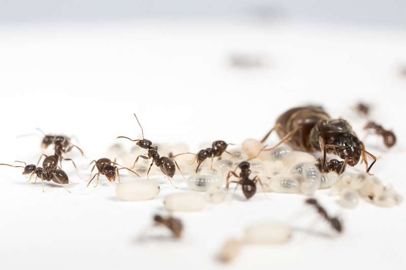
Königin, Arbeiterinnen und Larven der Schwarzen Wegameise Lasius niger.

Publikation:


M. N. Psalti, D. Gohlke, R. Libbrecht
Experimental increase of worker diversity benefits brood production in ants

BMC Ecology and Evolution (2021)

DOI: 10.1186/s12862-021-01890-x



Soziale Insekten sind häufig genetisch eng verwandt

In der Tierwelt spielt die genetische Verwandtschaft eine wichtige Rolle für die Entwicklung von altruistischem Verhalten. Bei den staatenbildenden Insekten wie Ameisen, Bienen und Wespen verzichten die Arbeiterinnen auf ihre eigene Fortpflanzung, um den Königinnen zu helfen, den Nachwuchs aufzuziehen. Diese Arbeitsteilung bei der Reproduktion entwickelte sich vor dem Hintergrund einer großen genetischen Verwandtschaft, wobei eine Jungkönigin von einem Männchen begattet wird und alle Nachkommen von dieser Paarung abstammen. "Die meisten sozialen Insektenarten zeichnen sich durch eine hohe genetische Verwandtschaft aus, vermutlich weil dies die Kooperation erleichtert", erläutert Romain Libbrecht.

Aber es bildeten sich auch andere Strategien heraus. Bei der Honigbiene etwa kann sich eine Königin mit bis zu 20 Männchen paaren oder – ein anderes Beispiel – bei der Argentinischen Ameise sind in nur einem Nest bis zu 60 Königinnen zu finden. "Mit der höheren genetischen Diversität sind allerdings auch Kosten verbunden. Die Königinnen setzen sich unter Umständen einer größeren Gefahr aus oder es kann unter den Arbeiterinnen zu mehr Konflikten kommen", nennt Libbrecht als Beispiele. Dass sich derartige Strategien trotzdem durchsetzen konnten, muss daher auch Vorteile bringen. Die Evolutionsbiologie befasst sich seit rund 20 Jahren mit diesem Thema, aber es war schwierig, kausale Zusammenhänge aufzuzeigen.


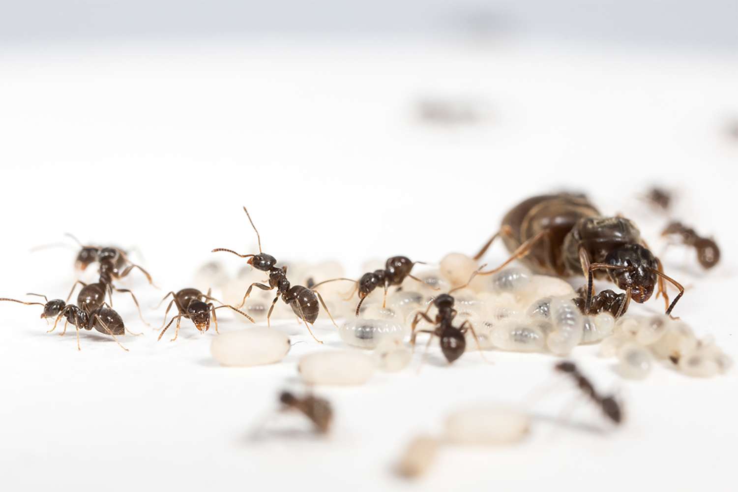
Königin, Arbeiterinnen und Larven der Schwarzen Wegameise Lasius niger.

"Wir wollten einen neuen Weg finden, um den Vorteilen einer größeren Diversität auf die Spur zu kommen", so Libbrecht, der an der JGU die Forschungsgruppe Reproduktion, Ernährung und Verhalten von Insektenstaaten leitet. Mit seinem Team hat er eine experimentelle Studie aufgesetzt, um unterschiedliche Kolonien der Schwarzen Wegameise Lasius niger zu vergleichen. Die Art ist fast überall in Mitteleuropa anzutreffen, in Gärten oder auf Balkonen in Städten ebenso wie auf Feldern oder am Waldrand.

Die Kolonien haben üblicherweise eine einzige Königin, die sich mit nur einem Männchen paart, sodass die Nachkommen eng verwandt sind. Libbrecht und sein Team haben Schwarze Wegameisen rund um Mainz gesammelt und in zwei Gruppen eingeteilt: eine Gruppe mit Ameisen aus einer einzigen Ausgangskolonie und eine zweite Gruppe mit Ameisen, die aus drei verschiedenen Ausgangskolonien zusammengesetzt wurde. "Dazu haben wir Puppen gesammelt, weil die Königin bereits erwachsene Arbeiterinnen nicht akzeptiert hätte", beschreibt Libbrecht das Vorgehen. "Dadurch waren die Arbeiterinnen der Versuchskolonien, die aus den Puppen geschlüpften sind, überhaupt nicht mit den Königinnen verwandt. Das war wichtig, um potenzielle mutterspezifische Effekte auszuschließen", ergänzt Erstautorin Marina Psalti.

Ameisenkolonien mit genetischer Diversität bringen mehr Larven hervor

Die Entwicklungsbiologen um Libbrecht stellten fest, dass eine größere Vielfalt an Arbeiterinnen die Aufzucht von Larven erhöht. Dagegen zeigte die Produktion von Eiern in den beiden Gruppen keinen Unterschied. "Das heißt bei gleicher Anzahl an Eiern gelingt es der Gruppe mit einer größeren Diversität unter den Arbeiterinnen, mehr Larven aufzuziehen." Libbrecht weist darauf hin, dass unter natürlichen Bedingungen eine kleine Kolonie im Anfangsstadium sehr sensibel ist und der Erfolg, eine Ameisenkolonie zu etablieren, davon abhängt, wie schnell und wie viele neue Arbeiterinnen hinzukommen.

Der Grund für das bessere Abschneiden der aus unterschiedlichen Ameisen bestehenden Kolonien liegt vermutlich in einer effizienteren Arbeitsteilung. "Einige Arbeiterinnen kümmern sich besser um die Versorgung der Larven, die gefüttert, gepflegt und gewendet werden müssen. Andere Arbeiterinnen eignen sich besser für die Futtersuche. Offenbar ist die Diversität in einer Kolonie für die Arbeitsteilung von Vorteil", fasst Libbrecht die Ergebnisse zusammen.


Diese Newsmeldung wurde mit Material der Johannes Gutenberg-Universität Mainz via Informationsdienst Wissenschaft erstellt.

Mehr zu den Themen


warte
warte
warte
warte
warte
warte
warte
warte
warte
warte